トップページ > 生駒市小明町 

販売物件情報

  • お気に入りリストを見る
  • 物件情報を印刷する
  • プリンタの設定で「背景を印刷する」と設定しないと「背景画像」が印刷されないことがあります。印刷の際には、必ず「背景を印刷する」設定にしてください。

土地

生駒市小明町 

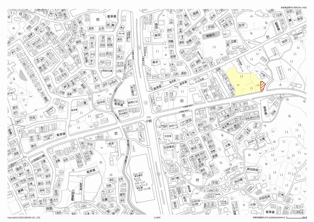
画像

この物件のお支払い例

頭金0円/ボーナス払い0円

物件価格1,900万円

月々の支払い52,535

※上記支払例の借入条件:金利0.875%、借入総額1,900万円、借入期間35年

所在地・交通

所在地 生駒市小明町 
最寄駅 近鉄奈良線 東生駒 徒歩分数
最寄バス停 稲倉 徒歩分数 3分
小学校校区 生駒市立生駒台小学校 中学校校区 生駒市立光明中学校

※学校区は住所から自動判定したものであり、保証できる情報ではございません。正確な学校区はお問い合わせ下さい。

お問い合わせフォームはこちら

「人型アイコン」を地図上にドラッグすることで『Google Street View』に切り替わります。

※地図上の「対象地」は「〒630-0201 奈良県生駒市小明町」の場所を指しています。実際の場所ではない場合がございます。詳しくはお問い合わせください。

お問い合わせフォームはこちら

物件概要

価格 1,900万円 種目 売地
土地面積 165.31㎡ 私道面積
建ぺい率/容積率 50%/80% 都市計画 市街化区域
接道状況 西6m 公道 接面8m 位置指定無   一方道路
地目 宅地
土地権利 地勢
用途地域 第一種低層住居専用地域
現況 更地 取引態様 媒介

取引条件等

引渡し 即時

その他

条件等
設備 電気、都市ガス、上水道、下水道
諸条件・相談
情報登録日 2025年6月27日 情報更新予定日 2025年10月20日
物件番号 72529
最近見た物件

ページの先頭へ

Copyright (C) ならスマ, All Rights Reserved.